Why Health Testing is Important
Many breeders do not health test their dogs at all. Some breeders only do genetic testing. When searching for your new puppy, it’s important to ask if the parents are health tested genetically AND if they have had OFA testing. No one wants to buy a new puppy and watch it develop a degenerative disease. We health test so our puppies can have long and happy lives.
At Groodle Doodle Ranch, we do ALL the health testing. For example, our goldendoodle parents are tested for all Golden Retriever AND Poodle diseases and health conditions. Groodle Doodle Ranch health tests all its parent dogs for over 170 different genetic conditions.
The Orthopedic Foundation for Animals, or OFA, has been on a mission since its founding in 1966 to track these diseases. This gives the OFA the ability to advise breeders on responsible practices, in order to limit the spread of genetic diseases. By tracking these genetic diseases across generations the OFA can certify dogs as clear from transmitting the disease, allowing their offspring to be deemed safe from the various diseases which the OFA monitors.
Genetic Diseases in Dogs
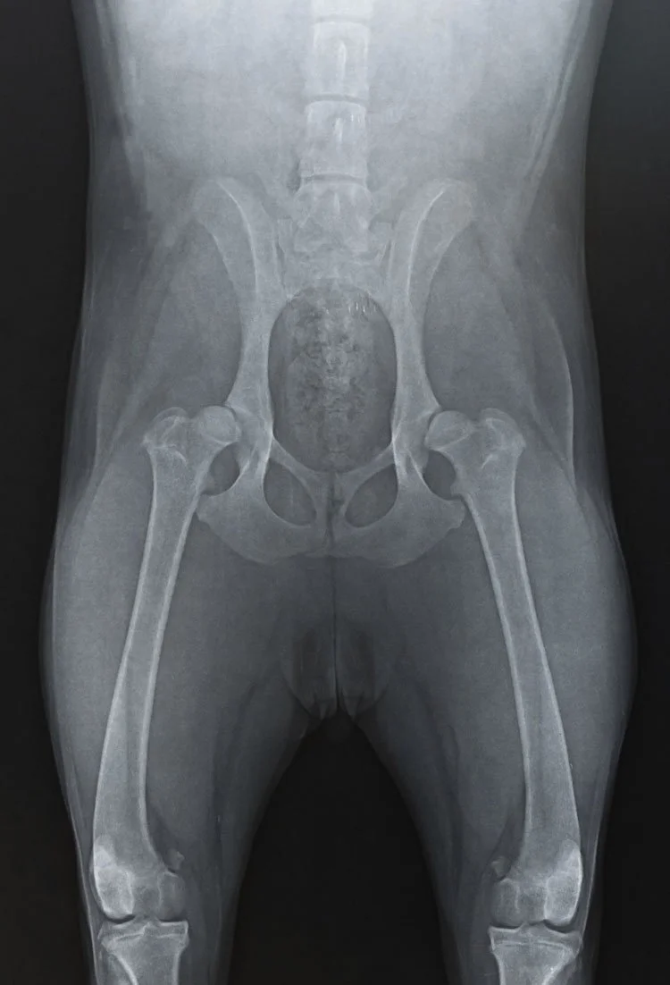
1. Canine Hip Dysplasia
Canine hip dysplasia begins to affect dogs as they age. If your dog has the disease, its hip joints will loosen and become unstable. This condition can be exacerbated by age and weight gain. Affected dogs will lose cartilage over time and begin to develop bone spurs in their hip joints. Canine hip dysplasia occurs most frequently in large breed dogs. At Groodle Doodle Ranch, all of our dogs have hip radiographs and only those with excellent or good scores move onto becoming parent dogs.
2. Patellar Luxations
According to the American College of Veterinary Surgeons, “Patellar luxation is one of the most common orthopedic conditions in dogs, diagnosed in 7% of puppies. The condition affects small dogs”. At Groodle Doodle Ranch all of our cavapoo parents are screened for patellar luxation. The disease affects the knees of your dog. In many cases, the condition affects both knees and can cause your dog to lose mobility.
3. Cardiac Disease
The OFA website states that “Congenital heart disease in dogs is a malformation of the heart or great vessels.” Often these heart defects are transmitted genetically. When breeders or pet owners have their dogs screened for cardiac disease it helps the OFA keep accurate records, which can help prevent transmission.
Importance of the OFA
At Groodle Dooddle Ranch, we wholeheartedly support the work of the OFA. Their work is vastly important for breeders and pet parents alike. By participating in screening by the OFA, breeders can ensure that their breeding practices yield healthy puppies. Every breeder or individual that participates in the OFA’s program contributes to their ever-expanding database and benefits dogs and dog families. We support the OFA, and we encourage you to support them too. Visit OFA’s website to learn more.
